- Wohneinheitenfläche
- Um 132 m²
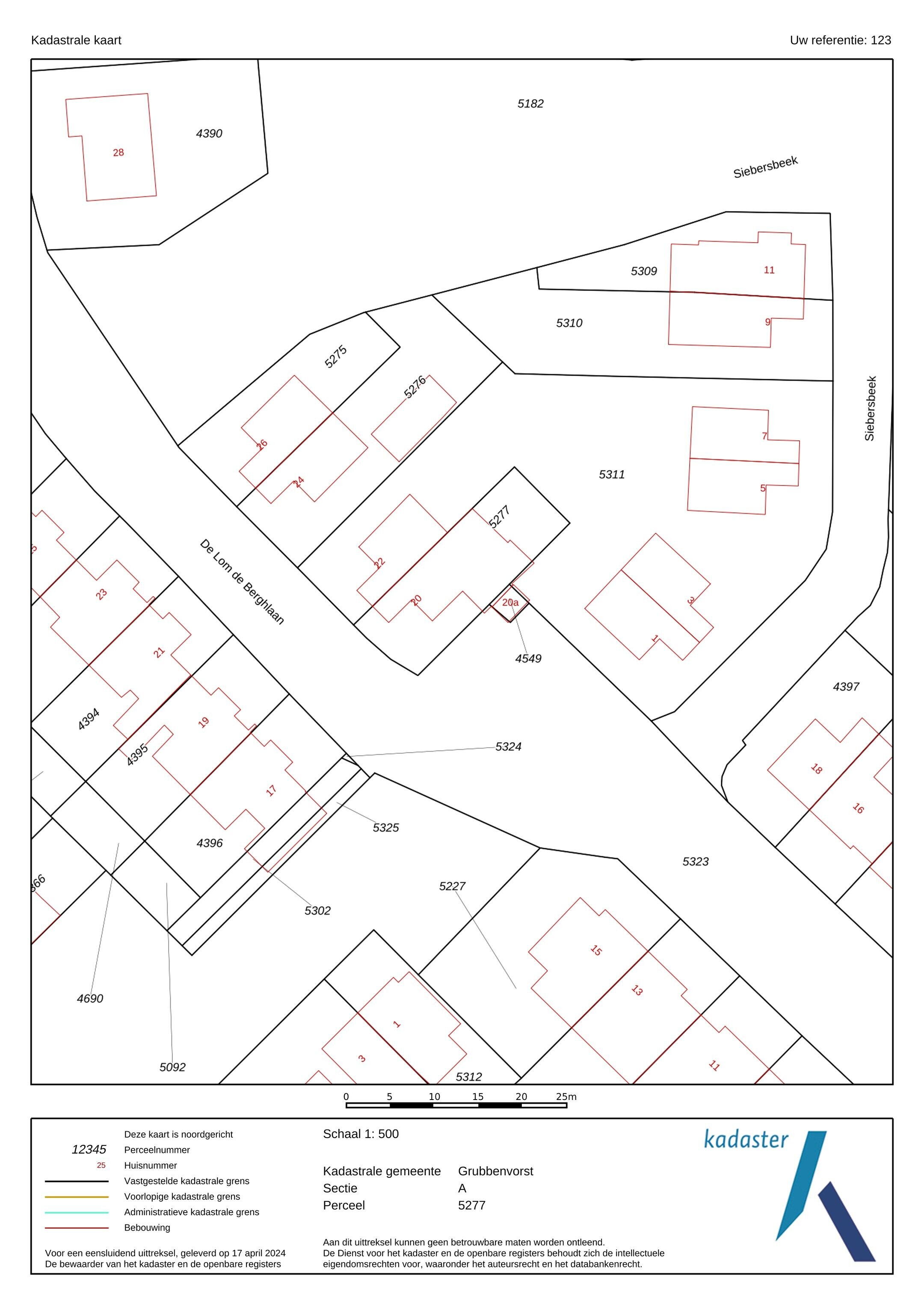
- Grundstücksfläche
- Um 215 m²
- Baujahr
- Baujahr 1978
- Anzahl der Zimmer
- 5 Räume (4 Schlafzimmer)
DE LOM DE BERGHLAAN 20, 5973 NL LOTTUM – SFEERVOLLE 2-ONDER-1-KAPWONING
Bent u als starter op zoek naar een comfortabele en ruime woning met een praktische indeling en moderne faciliteiten? Deze 2-onder-1-kapwoning aan De Lom De Berghlaan 20 in Lottum, gebouwd in 1978 en voortdurend goed onderhouden, biedt een ideale kans om uw wooncarrière te starten.
Met een vraagprijs van € 349.000, levert deze woning uitstekende waarde voor uw investering. Het huis beschikt over een woonoppervlak van 132 m2, aangevuld met 41 m2 aan overige inpandige ruimte, waaronder een praktische wasruimte en een ruime garage van 23 m2.
De vier slaapkamers in het pand maken flexibel gebruik van de ruimte mogelijk, of u nu behoefte heeft aan extra werk- of logeerkamers. De badkamer, oorspronkelijk uit 2000, heeft in 2022 een (gedeeltelijke) renovatie ondergaan en is voorzien van een badkamermeubel, comfortabel bad (met douche functie) en toilet.
Een onderscheidend kenmerk van dit huis zijn de kunststof kozijnen met grotendeels HR++ beglazing, wat bijdraagt aan de energiezuinigheid van de woning, gereflecteerd in een gunstig energielabel B. Dit betekent lagere stookkosten en meer comfort tijdens de koudere maanden. Op elke verdieping is een airco aanwezig waarmee zowel kan worden verwarmt als gekoeld.
De onderhoudsvriendelijke tuin die veel privacy biedt is ideaal voor zowel ontspanning als voor het ontvangen van gasten. De tuin is bovendien voorzien van een koi-vijver en een aantrekkelijke terrasoverkapping van 17 m2, perfect voor de zomerse dagen en avonden.
Gelegen in het vriendelijke rozendorp Lottum, staat deze woning in een rustige omgeving en biedt een uitstekende balans tussen rust en bereikbaarheid. Ontdek zelf wat De Lom De Berghlaan 20 u te bieden heeft en hoe deze woning kan bijdragen aan uw woonplezier. Een bezichtiging kan overtuigend zijn in het ervaren van de potentie en sfeer van dit huis. Neem vandaag nog contact op om een afspraak te maken en laat deze kans niet aan u voorbijgaan.
LOTTRUM:
De woning is gelegen in een rustige woonwijk in Lottum (ca. 2000 inwoners).
Basisonderwijs, kinderopvang, bloemist, gemeenschapshuis, sportverenigingen, warme bakker en horeca zijn in het ‘rozendorp’ Lottum aanwezig.
Fernere Bildung, spezielle Erziehung, Sport, Kultur, Geschäfte und Gastronomie sind im angrenzenden Horst gut vertreten und machen das Wohnen an diesem Ort für jung und alt attraktiv.
Er is een buslijn aanwezig.
Voorts heeft Lottum met de A73 (7 minuten rijden) een goede ontsluiting naar Nijmegen, Eindhoven en het Duitse Ruhrgebied. De nabijheid van de Maas biedt vele actieve recreatiemogelijkheden.
KENMERKEN en BIJZONDERHEDEN
• vraagprijs € 349.000
• gebouwd in 1978
• 4 slaapkamers
• badkamer met bad/douche en toilet uit 2000 gerenoveerd 2022
• separate wasruimte
• kunststofkozijnen met grotendeels HR++ beglazing
• slaapkamerramen voorzien van rolluiken
• woonoppervlak 132 m2
• overig inpandige ruimte 41 m2
• garage 23 m2
• terrasoverkapping 17 m2
• vloerverwarming keuken en garage
• keukenopstelling 2001
• Quooker aanwezig
• airco’s op alle verdiepingen
• 20 zonnepanelen
• meterkast in 2021 geheel vernieuwd
• energielabel B
De informatie in deze publicatie is met de nodige zorgvuldigheid samengesteld.
Wij aanvaarden geen aansprakelijkheid voor eventuele onvolledigheid, onjuistheid of anderszins en de daaraan gelieerde gevolgen.
De tekeningen met vermelde afmetingen zijn gemaakt voor promotiedoeleinden.
Hier kunnen geen rechten aan ontleend worden.
Übertrag
- Verhandlungspreis
- 349.000 € k.K.
- Status
- Verkauft
Bau
- Gegenstandsart
- Ein-Familien-Wohnung, Zweikammer-Wohnung
- Bauart
- Existierende Bauwerke
- Baujahr
- 1978
- Dachart
- Dach First mit Schindeln bedeckt
Oberfläche und Inhalt
- Wohneinheitenfläche
- 132 m²
- Grundstücksfläche
- 215 m²
- Inhalt
- 605 m³
- Gebäudebezogene Freifläche
- 17 m²
Einteilung
- Anzahl der Zimmer
- 5 Räume (4 Schlafzimmer)
- Anzahl der Badezimmer
- 1 Bad und 1 getrenntes Toilettenzimmer
- Badezimmerausstattung
- Ligbad, toilet, vloerverwarming, en wastafelmeubel
- Anzahl der Wohnetagen
- 3 Wohnetagen und ein Dachgeschoss
- Maßnahmen
- Glasvezelkabel, natuurlijke ventilatie, rolluiken, schuifpui, TV kabel, en zonnepanelen
Energie
- Energietag
- B
- Isolation
- Dachisolierung, größtenteils Doppelglas,_hr-Glas, Wandisolierung und Fußbodenisolierung
- Heizung
- Brennkessel
- Warmes Wasser
- Heizkraftwerk und Elektrokessel
- Kessel
- Nefit (Gaskombikessel, Eigentum)
Außenraum
- Lage
- An ruhiger Straße und in Wohngebiet
- Garten
- Hintergarten
- Abmessungen des Hintergartens
- 60 m² (6,74 meter diep en 8,95 meter breed)
- Lage des Gartens
- Liegende im Nordosten
Garage
- Garagenart
- Angebaute Steingarage
- Kapazität
- 1 Auto
- Maßnahmen
- Vliering, elektra, verwarming en stromend stromend water
- Isolation
- Muurisolatie en volledig geïsoleerd
Parkplatz
- Parkplatzart
- Auf eigenen Parkplätzen und öffentlichen Plätzen parken
Energieverbrauch ein Lottum
Energietag der Wohnung
Energielabel B
Energietagmenteil:
Jahres-Stromverbrauch
(Durchschnitt zusammen unter einer Decke in Lottum)
Gaskonsum pro Jahr
(Durchschnitt zusammen unter einer Decke in Lottum)
* Zahlen stammen vom CBS und sollen als Indikatoren dienen und können für diese Wohnung unterschiedlich sein
Hypothekenbelastungen
Eigene Einlage:
Ersparnisse / Überwert
Zins:
Niedrigste 10-Jahres-Zinssatz
Niedrigste 10-Jahres-Zinssatz
2,78% - Centraal Beheer - NHG
3,04% - Centraal Beheer - 80%
Niedrigste 20-jährige Zinssatz
3,29% - Centraal Beheer - NHG
3,52% - Centraal Beheer - 80%
Niedrigste 30-jährige Zinssatz
3,41% - Centraal Beheer - NHG
3,7% - Argenta - 80%
Hypothek:
Bruttomonatslasten: € 0 p/m
Nettomonatskosten: € 0 p/m
Wie berechnen wir dies?
Der Zinssatz basiert auf dem niedrigsten 10-jährigen Festzins für einen einzelnen Hypothekenteil. Der angegebene Zinssatz (2.78% met NHG) wurde am 27-04-2026 überprüft. Diese Berechnung basiert auf einer Annuitätenhypothek, die vollständig zurückgezahlt wird, wobei die monatlichen Zahlungen während der gesamten Laufzeit gleich bleiben. Der tatsächliche Zinssatz und die monatlichen Nettokosten können je nach Ihrer persönlichen Situation und dem Hypothekengeber variieren. Wenden Sie sich für eine genaue Berechnung und Beratung an einen Finanzberater. Aus dieser Berechnung können keine Rechte abgeleitet werden; sie dient lediglich als Orientierung.
Dokumentation
Katasterkarte
Lebensumgebung
Planansichten PDF
Besichtigung
Boden verlegen
Wertschätzung
Suchanfrage
Alles herunterladen
Sonnengrenzen betrachten
Auf der Karte
Bewohner von Lottum
Zahlen für Postleitzahl-Region 5973
- Gesamtbevölkerungszahl
- 1955 Bewohner
- Männer
- 52%
- Frauen
- 48%
Bewohner von Lottum
Zahlen für Postleitzahl-Region 5973
- bis 15 Jahre
- 14%
- 15 bis 25 Jahre
- 12%
- 25 bis 35 Jahre
- 19%
- 45 bis 65 Jahre
- 33%
- 65 und älter
- 23%
Haushalte von Lottum
Zahlen für Postleitzahl-Region 5973
- Einpersonig ohne Kinder
- 27%
- Erwachsene ohne Kinder
- 37%
- Haushalte ohne Kinder
- 64%
Haushalte von Lottum
Zahlen für Postleitzahl-Region 5973
- Haushalte mit einem Kind
- 4%
- Haushalte mit mehreren Kindern
- 32%
- Haushalte mit Kindern
- 36%
Wohnungen in Lottum
Zahlen für Postleitzahl-Region 5973
- Wohnungen vor 1945
- 19%
- Wohnungen zwischen 1945 und 1965
- 20%
- Wohnungen zwischen 1965 und 1975
- 20%
- Wohnungen zwischen 1975 und 1985
- 15%
- Wohnungen zwischen 1985 und 1995
- 9%
Wohnungen in Lottum
Zahlen für Postleitzahl-Region 5973
- Wohnungen zwischen 1995 und 2005
- 11%
- Wohnungen zwischen 2005 und 2015
- 4%
- Wohnungen nach 2015
- 1%
- Mietwohnungen
- 20%
- Eigentumswohnungen
- 80%
Sonstige Einzahlungen Lottum
Zahlen für Postleitzahl-Region 5973
- Durchschnittliche WOZ-Wert
- € 273.000,-
- Personen unter 65 Jahren mit Hinterbliebenengeld
- 4%
Sonstige Einzahlungen Lottum
Zahlen für Postleitzahl-Region 5973
- Adressen pro Quadratkilometer
- 177
- Urbanität (Skala von 1 bis 5)
- 20%
CoMaCon Makelaardij
Falls Sie Fragen haben oder eine Besichtigung planen möchten, können Sie das Formular rechts verwenden. Danach wird Ihnen kurzfristig jemand kontaktieren.
Kontakt aufnehmen
Connyon Immobilien
Bei Comacon Makler erhalten Sie mehr als nur einen Immobilienmakler. Dank unserer einzigartigen Kombination aus Immobilien- und Bauwesen-Erfahrung bieten wir ein umfassendes Paket an, das über die Standarddienstleistungen hinausgeht.
Was uns unterscheidet:
Wertschätzung ohne Kosten
Wir beginnen mit einer kostenlose Wertabschätzung Ihres Hauses - ohne Verpflichtungen.
Persönliche Betreuung und Ruhe im Prozess
Ihre Wünsche stehen im Mittelpunkt. Wir nehmen uns ausreichend Zeit, Ihre Situation zu verstehen und begleiten Sie auf entspannte Weise.
Strategisches Kauf- und Verkaufsplan
Keine Standardansatz, sondern eine sorgfältig maßgeschneiderte Strategie, um das Maximale aus Ihrer Transaktion herauszuholen.
Ehrlichkeit als Kernwerte
Wir arbeiten transparent und legen großen Wert auf Zuverlässigkeit und ethisches Handeln.
Geschäftserfahrung
Sie können auf eine professionelle Betreuung durch einen erfahrenen Experten vertrauen, der mit Ihnen denkt.
Detaillierte Arbeitsweise
Unsere Prozesse sind auf die kleinsten Details hin perfektioniert, sodass Sie von einer geglätteten Abwicklung profitieren.
Achten Sie auf den Käufer
Wir finden es wichtig, dass auch der Käufer gut beraten wird, damit die gesamte Transaktion reibungslos und verantwortungsvoll abläuft.
Gründliche Inspektionen
Unsere Touren sind klar, informativ und auf die Bedürfnisse potenzieller Käufer zugeschnitten.
Passende Vermittlung
Unsere Preise werden auf das Objekt abgestimmt, sodass Sie einen fairen Preis für unsere Dienstleistungen bezahlen.
Startkosten
Neben der Vermittlungsgebühr berechnen wir Startkosten für die Vorbereitung und Präsentation Ihres Immobilienobjekts.
Einkaufsbetreuung geschenkt bei VerkaufsAuftrag
Geben Sie uns das Vertrauen für die Verkauf? Dann helfen wir Ihnen kostenlos bei der Kauf einer neuen Wohnung.
Entdecken Sie den Unterschied von Comacon Immobilien
Wir engagieren uns vollständig für das bestmögliche Ergebnis bei Ihrem Kauf oder Verkauf. Kontaktieren Sie uns ohne Verpflichtung und erleben Sie selbst unsere involvierte und professionelle Methode.
Ihr Erfolg ist unser Ausgangspunkt.
Neueste Bewertungen
-
Henk Thijssen
Vakkundige man weet waar hij over praat, had ons app zeer snel verkocht , van harte aanbevolen, nogmaals dank voor de prettige en speciale a...
-
Dionisiusstraat 15
Geweldige makelaar neemt veel tijd en een goede uitleg prettig in omgang zeerAan te bevelen als wij een makelaar nodig hebben wordt het weer...
-
Mariushof 26
Bij de aankoop van onze nieuwe woning stond Theo nog aan de andere kant, bij de verkopende partij. Wij hebben het contact als kopers al dusd...